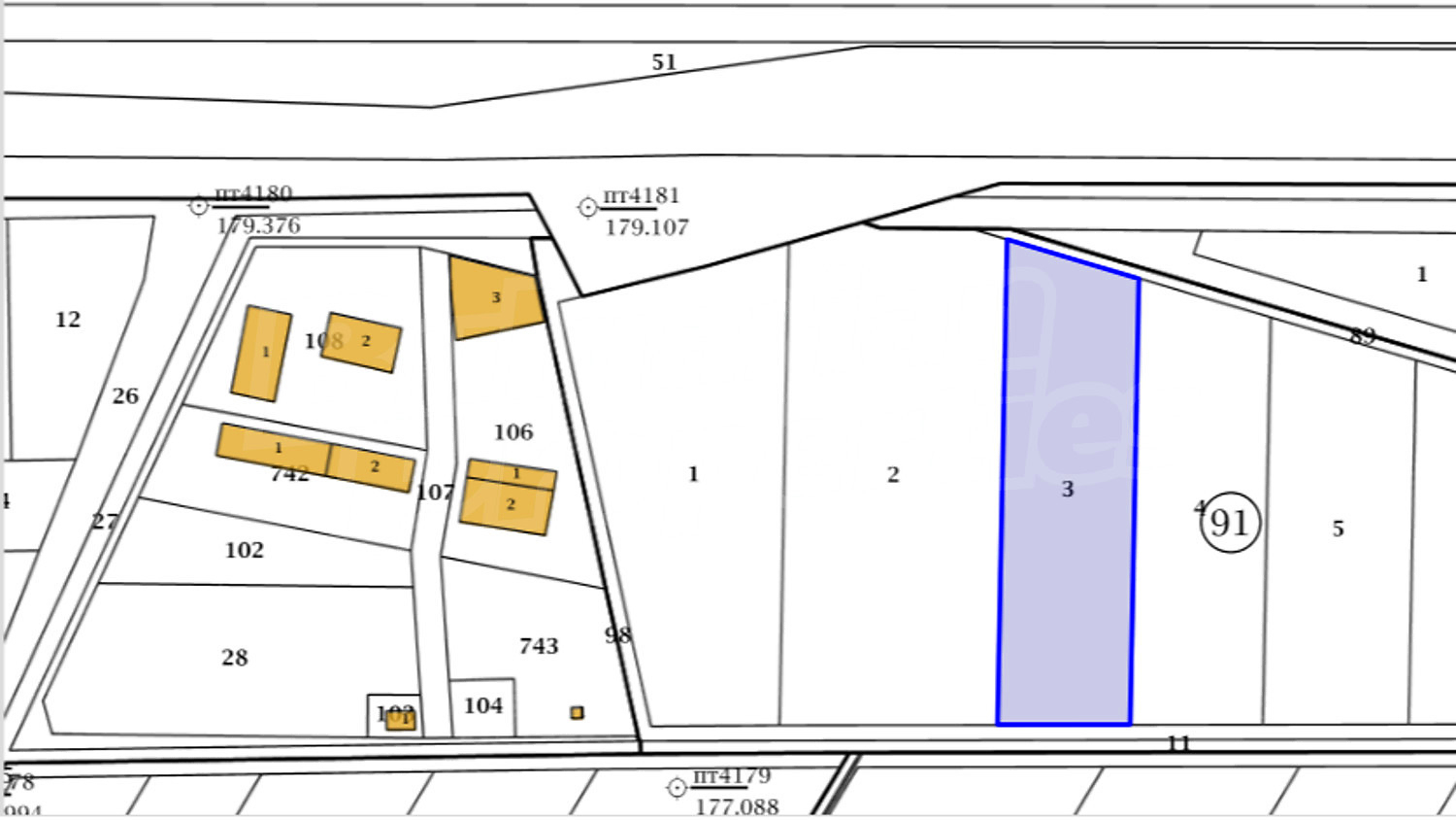
Представляем Вашему вниманию участок сельскохозяйственной земли площадью 4 620 кв.м. в местности "Смокините" в г. Стара Загора, с инвестиционным потенциалом, в зоне, предназначенной для свободной застройки (преимущественно промышленного строительства), подходящей для строительства производственной базы, складов, сервиса.
Текущее состояние недвижимости - сельскохозяйственные земли, 3 категории, фруктовый сад, расположенные на грунтовой дороге, вблизи урбанизированной территории.
Есть возможность приобрести два соседних участка.
Вид объекта
Мы можем организовать просмотр участка в удобное для вас время. Для этого свяжитесь с брокером, ответственным за предложение, и сообщите ему, когда вы хотели бы провести осмотр.
Резервирование недвижимости
Объект может быть зарезервирован и снят с продажи с внесением залога, после чего прекращаются просмотры с другими покупателями и начинается подготовка документов для заключения предварительного и окончательного договора. Пожалуйста, свяжитесь с ответственным брокером по данному объекту недвижимости для получения подробной информации о процедуре покупки и порядке оплаты.
Дополнительные услуги и послепродажное обслуживание.
Мы - компания с хорошей репутацией, и мы будем с вами не только во время покупки, но и после нее, предоставляя дополнительные услуги в соответствии с вашими требованиями, чтобы вы могли полноценно и беспрепятственно наслаждаться приобретенной недвижимостью. Среди услуг, которые мы можем предложить, - страхование движимого и недвижимого имущества, страхование жизни, медицинское и автомобильное страхование, строительно-ремонтные работы, меблировка, юридические и бухгалтерские услуги и т. д.
Характеристики
Тип недвижимости
Земельный участок, Сельскохозяйственная земля, Инвестиционная земля, Недвижимость для инвестиции
Реф. номер
SZ 83466
Площадь
4620.00 м2
Состояние
прочитайте в тексте
Отопление
Без отопления
Двор
нет
Кондиционирование
Без системы кондиционирования
Земельный участок в промышленной зоне Восток, под железнодорожной линией дополнительная информация:
Планы
Качество воздуха
Фото с воздуха
Генплан
360° градусов
Инфо пакет
Референтный номер: SZ 83466
Местоположение
г. Стара Загора, кв.«Индустриална зона - изток»- Ближайший город Стара Загора, приблизительно 0 км.
Удобства района
- Детский сад "Детска градина № 68 "Патиланско царство"" 894 м (11 мин.)
- Продуктовый магазин 1.0 км (13 мин.)
- Супермаркет "Lidl" 724 м (9 мин.)
- Супермаркет 889 м (11 мин.)
- Торгово-развлекательный центр "Холидей Парк Стара Загора" 544 м (7 мин.)
- Парковка 674 м (9 мин.)
- Бензозаправочная станция 733 м (9 мин.)
- Церковь "Православен храм "Свети Игнатий Старозагорски"" 880 м (11 мин.)
ТРАНСПОРТ
УЧЕБНЫЕ ЗАВЕДЕНИЯ
ШОПИНГ
АВТОМОБИЛЬНЫЕ УСЛУГИ
ЗДАНИЯ И ИНСТИТУЦИИ
ОТПРАВЬТЕ ЗАПРОС
€ 554 400
- €
- руб.
- $
Платежи с карты и PayPal.
Располагаем онлайн ПОС терминалом
Располагаем онлайн ПОС терминалом
Агенству причитается комиссия
*/ ?>
ПОДРОБНАЯ ИНФОРМАЦИЯ
Реф. номер: SZ 83466
При звонке, пожалуйста, указывайте номер объекта недвижимости.
Мирослав Караколев
Офис Стара Загора ул. Хаджи Димитр Асенов 87, Бизнес Центр Раминиг. Стара Загора, Болгария, 6000 Все объекты (176)
ОТПРАВЬТЕ ЗАПРОС
Еще объекты недвижимости в кв. Индустриална зона - изток
Аренда
Складское помещение, выходящее на главную улицу
г. Стара Загора , кв. «Индустриална зона - изток»
Помещение для коммерческой деятельности
Складское помещение, выходящее на главную улицу - Помещение для коммерческой деятельности
Продажа
Офис в г. Стара Загора
г. Стара Загора , кв. «Индустриална зона - изток»
Продажа офисов, Стара Загора
Офис в г. Стара Загора - Продажа офисов, Стара Загора
Продажа
Офис в г. Стара Загора
г. Стара Загора , кв. «Индустриална зона - изток»
Продажа офисов, Стара Загора
Офис в г. Стара Загора - Продажа офисов, Стара Загора
Еще объекты недвижимости в г. Стара Загора
Аренда
Складское помещение, выходящее на главную улицу
г. Стара Загора , кв. «Индустриална зона - изток»
Помещение для коммерческой деятельности
Складское помещение, выходящее на главную улицу - Помещение для коммерческой деятельности
Аренда
Меблированная и оборудованная квартира в тихом районе
г. Стара Загора , кв. «Железник - център»
Готова к проживанию, рядом со школой и зелеными зонами
Меблированная и оборудованная квартира в тихом районе - Готова к проживанию, рядом со школой и зелеными зонами
Продажа
Панорамный участок на южном склоне
г. Стара Загора , кв. «м-т Беш Бунар»
УПИ в местности Беш Бунар
Панорамный участок на южном склоне - УПИ в местности Беш Бунар
Продажа
Жилье с панорамным видом рядом с торговым комплексом Holiday Park
г. Стара Загора , кв. «Самара 1»
Квартира рядом с остановкой общественного транспорта, школой и детским садом
Жилье с панорамным видом рядом с торговым комплексом Holiday Park - Квартира рядом с остановкой общественного транспорта, школой и детским садом
Продажа
Четырехкомнатная квартира в районе Аязмото
г. Стара Загора , кв. «Аязмото»
Многокомнатная квартира, расположенная в центре города, рядом с парком
Четырехкомнатная квартира в районе Аязмото - Многокомнатная квартира, расположенная в центре города, рядом с парком
Продажа
Двухкомнатная квартира рядом с супермаркетом и остановкой общественного транспорта
г. Стара Загора , кв. «Три чучура - център»
Квартира с панорамным видом в престижном районе рядом с родниковым фонтаном
Двухкомнатная квартира рядом с супермаркетом и остановкой общественного транспорта - Квартира с панорамным видом в престижном районе рядом с родниковым фонтаном
Продажа
Дом-близнец рядом с парком «Защитники Стара-Загоры»
г. Стара Загора , кв. «Самара 1»
Меблированный дом с отдельным входом в тихом и спокойном районе города Стара Загора
Дом-близнец рядом с парком «Защитники Стара-Загоры» - Меблированный дом с отдельным входом в тихом и спокойном районе города Стара Загора
Продажа
Компактное жилье рядом с парком, школой и детским садом
г. Стара Загора , кв. «Три чучура - юг»
Однокомнатная квартира в полностью отремонтированном здании
Компактное жилье рядом с парком, школой и детским садом - Однокомнатная квартира в полностью отремонтированном здании
Продажа
2-комнатная квартира в р-не Казански, Стара-Загора
г. Стара Загора , кв. «Казански»
Квартира с мебелью в отличном новом доме
2-комнатная квартира в р-не Казански, Стара-Загора - Квартира с мебелью в отличном новом доме
Продажа
Трехкомнатная квартира в новом здании в Стара Загора
г. Стара Загора , кв. «Железник»
Просторная трехкомнатная квартира в районе Железник
Трехкомнатная квартира в новом здании в Стара Загора - Просторная трехкомнатная квартира в районе Железник
Продажа
Просторная квартира недалеко от центра города
г. Стара Загора , «Центр»
Жильё в спокойном районе – отличный выбор для семьи или инвестиций
Просторная квартира недалеко от центра города - Жильё в спокойном районе – отличный выбор для семьи или инвестиций
Аренда
Сдаётся однокомнатная квартира рядом со школой
г. Стара Загора , «Центр»
Меблированная однокомнатная квартира в центре города
Сдаётся однокомнатная квартира рядом со школой - Меблированная однокомнатная квартира в центре города
Аренда
Четырехкомнатная квартира в аренду в центральной части Стара Загора – рядом с ТВ сервисом
г. Стара Загора , «Центр»
Меблированная квартира в пешей доступности от магазинов, заведений и т.д.
Четырехкомнатная квартира в аренду в центральной части Стара Загора – рядом с ТВ сервисом - Меблированная квартира в пешей доступности от магазинов, заведений и т.д.
Продажа
Люкс
Двухэтажный современный дом в новом комплексе «Верея Вилла Парк»
г. Стара Загора , кв. «м-т Беш Бунар»
Дом с современным дизайном и архитектурой в дачном районе города Верея. Стара Загора
Двухэтажный современный дом в новом комплексе «Верея Вилла Парк» - Дом с современным дизайном и архитектурой в дачном районе города Верея. Стара Загора
Продажа
Четырехкомнатная кирпичная квартира в районе средней школы «Гео Милев»
г. Стара Загора , «Центр»
Квартира на низком этаже в престижном центральном районе
Четырехкомнатная кирпичная квартира в районе средней школы «Гео Милев» - Квартира на низком этаже в престижном центральном районе
Продажа
Просторная квартира в районе Баня Пиперка, Стара Загора
г. Стара Загора , «Центр»
Трёхкомнатная квартира с двумя балконами и большим потенциалом для обновления
Просторная квартира в районе Баня Пиперка, Стара Загора - Трёхкомнатная квартира с двумя балконами и большим потенциалом для обновления
Продажа
Дом Стара Загора
г. Стара Загора , кв. «Загорка»
домов, Стара Загора
Дом Стара Загора - домов, Стара Загора
Продажа
Меблированный дом с ухоженным участком в городе Мыглиж
г. Мъглиж
Живописный подбалканский городок — дом, готовый к проживанию
Меблированный дом с ухоженным участком в городе Мыглиж - Живописный подбалканский городок — дом, готовый к проживанию
Продажа
Трёхкомнатная квартира в центре Стара-Загоры
г. Стара Загора , «Центр»
Квартира в новом доме с роскошными общими зонами
Трёхкомнатная квартира в центре Стара-Загоры - Квартира в новом доме с роскошными общими зонами
Продажа
Коммуникационный офис на перекрестке улиц в центральной части Стара Загора
г. Стара Загора , «Центр»
Коммерческая недвижимость с гаражом, на ул. Христо Ботев, подходит для разных видов деятельности
Коммуникационный офис на перекрестке улиц в центральной части Стара Загора - Коммерческая недвижимость с гаражом, на ул. Христо Ботев, подходит для разных видов деятельности
Продажа
Кирпичный квартира в престижном районе рядом со школой и детским садом
г. Стара Загора , кв. «Опълченски»
Меблированная двухкомнатная квартира рядом с бульваром Крайречен
Кирпичный квартира в престижном районе рядом со школой и детским садом - Меблированная двухкомнатная квартира рядом с бульваром Крайречен
Продажа
Многокомнатная квартира с отличным расположением в самом центре Стара-Загоры
г. Стара Загора , «Центр»
Двухкомнатная квартира в пешей доступности от всех основных удобств
Многокомнатная квартира с отличным расположением в самом центре Стара-Загоры - Двухкомнатная квартира в пешей доступности от всех основных удобств
Продажа
Производственное помещение с домом в Стара Загора
г. Стара Загора , кв. «Самара 2»
Функциональная недвижимость с цехом и жилой частью в районе Самара 2
Производственное помещение с домом в Стара Загора - Функциональная недвижимость с цехом и жилой частью в районе Самара 2
Продажа
Новая трехкомнатная квартира рядом с Артиллерийским парком
г. Стара Загора , кв. «Казански - изток»
Квартира на БДС с актом 16 и видом на город
Новая трехкомнатная квартира рядом с Артиллерийским парком - Квартира на БДС с актом 16 и видом на город
Продажа
Квартира с двумя спальнями в центре Стара Загора
г. Стара Загора , «Центр»
Квартира с двумя спальнями в тихом и престижном районе, идеально подходит для семейного проживания или инвестиций
Квартира с двумя спальнями в центре Стара Загора - Квартира с двумя спальнями в тихом и престижном районе, идеально подходит для семейного проживания или инвестиций
Подписывайтесь на наш канал